
NEDOSTUPNÉ

NEDOSTUPNÉ

NEDOSTUPNÉ
Nedostupné
1466 m²
1466 m²
Kyjov
Pozemky
Nedostupné - nevolat
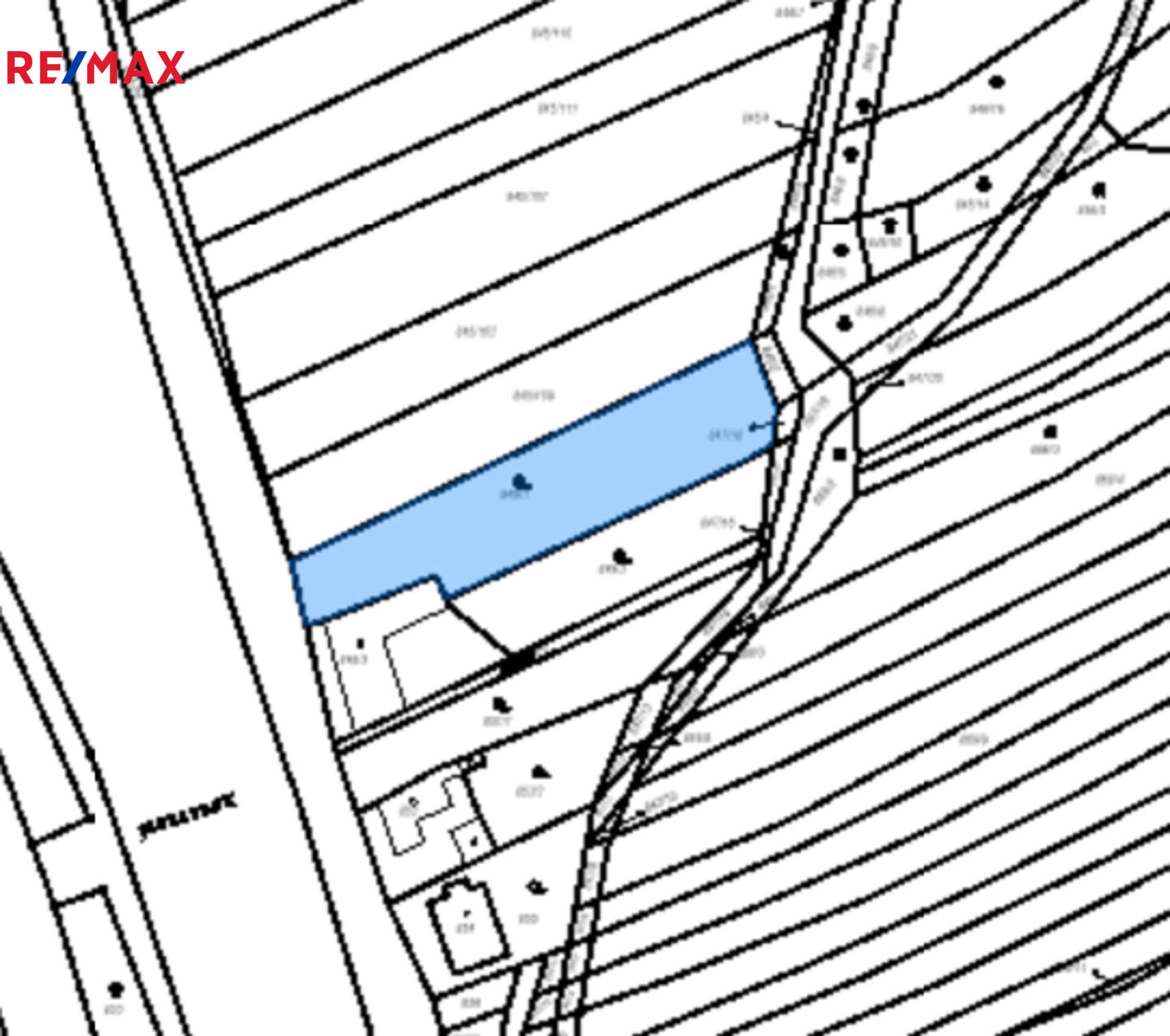
Prodej pozemku pro bydlení, 1466 m2, Kyjov
Ve výhradním zastoupení majitele, nabízím ke koupi koupi stavební pozemek v Bohuslavicích. Tato původně samostatná obec se nachází na úpatí Chřibů a Ždánického lesa. Bohuslavice obklopuje opravdu nádherná příroda, kterou jistě oceníte pro své procházky. Je zde i spousta značených turistických tras a cyklostezky. Dále zde najdete například základní školu, školku obchod a taky dětské hřiště nebo koupací biotop. Na prodej Vám zde nabízím stavební parcelu, která leží v krajní části obce a má celkovou výměru 1466m2. Šířka ve střední části pozemku je 18m a délka 89m. V územním plánu je pozemek vedený jako plocha smíšená obytná. Pokud hledáte místo, na kterém budete moci postavit svůj dům, může to být právě tady. Pro více informací a sjednání prohlídky mě neváhejte kontaktovat.
Číslo nabídky:349767
Kategorie:Pozemky
Typ:Prodej
Jednotka:za nemovitost
G - Není vyhotoven
Chci prohlídku nemovitosti nebo více informací.
Domluvte si prohlídku na nemovitosti anebo se mě na cokoliv zeptejte, rád vám poradím.



















































































































































































