









1 321 000 Kč
351 m²
351 m²
Ždánice
Pozemky
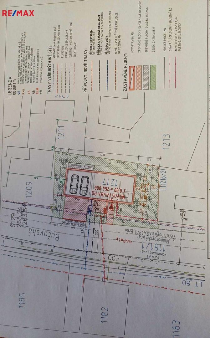
Prodej pozemku pro bydlení, 351 m2, Ždánice
Ve výhradním zastoupení nabízíme zprostředkování prodeje pozemku v obci Ždánice o velikosti 351m2. Současně s pozemkem nabízíme zpracovanou kompletní projektovou dokumentaci a vydané stavební povolení.
Projekt zahrnuje stavbu vícegeneračního rodinného domu, zastavěná plocha domu 125m2, půdorys je obdélníkového tvaru, 1. PP, 1. NP + 2. NP. Rozměr domu 7,1 x 17,7m. Napojení na IS: vodovod, elektro NN, kanalizace jsou v komunikaci připraveny. Dům je standardně řešen, vstupuje se v úrovni 1. NP, kde je kuchyně s obývacím pokojem, pokoj, koupelna, předsíň, balkon, chodba a schodiště a garáž. V 2. NP se nachází dva pokoje, pracovna, koupelna, kuchyně s obývacím pokojem, koupelna, WC, předsíň, balkon. V suterénu jsou umístěny: dvě technické místnosti, dvě pracovny, koupelna, WC, černá kuchyň, chodba, komora, terasa.
Pozemek se nachází v lokalitě, která má již vybudovanou veškerou technickou i dopravní infrastrukturu.
Město Ždánice leží na okraji Ždánického lesa. Má velmi dobrou dopravní dostupnost (Brno, Slavkov u Brna, Kyjov, Hodonín) a výbornou občanskou vybavenost (základní škola, školka, dům dětí a mládeže, praktičtí i zubní lékaři, sportovní vyžití, koupaliště, rybníky, restaurace, nákupní možnosti).
Pro podrobnější informace, náhled do stavební dokumentace apod., neváhejte kontaktovat makléře zakázky. Zajišťujeme finanční poradenství.
Projekt zahrnuje stavbu vícegeneračního rodinného domu, zastavěná plocha domu 125m2, půdorys je obdélníkového tvaru, 1. PP, 1. NP + 2. NP. Rozměr domu 7,1 x 17,7m. Napojení na IS: vodovod, elektro NN, kanalizace jsou v komunikaci připraveny. Dům je standardně řešen, vstupuje se v úrovni 1. NP, kde je kuchyně s obývacím pokojem, pokoj, koupelna, předsíň, balkon, chodba a schodiště a garáž. V 2. NP se nachází dva pokoje, pracovna, koupelna, kuchyně s obývacím pokojem, koupelna, WC, předsíň, balkon. V suterénu jsou umístěny: dvě technické místnosti, dvě pracovny, koupelna, WC, černá kuchyň, chodba, komora, terasa.
Pozemek se nachází v lokalitě, která má již vybudovanou veškerou technickou i dopravní infrastrukturu.
Město Ždánice leží na okraji Ždánického lesa. Má velmi dobrou dopravní dostupnost (Brno, Slavkov u Brna, Kyjov, Hodonín) a výbornou občanskou vybavenost (základní škola, školka, dům dětí a mládeže, praktičtí i zubní lékaři, sportovní vyžití, koupaliště, rybníky, restaurace, nákupní možnosti).
Pro podrobnější informace, náhled do stavební dokumentace apod., neváhejte kontaktovat makléře zakázky. Zajišťujeme finanční poradenství.
Číslo nabídky:394058
Kategorie:Pozemky
Typ:Prodej
Jednotka:za nemovitost
Doprava:silnice, autobus
Kód nabídky:NP04155
G - Není vyhotoven

Pavel Křetinský
Majitel
Hypoteční kalkulačka
Na kolik vás vyjde pořízení vlastního bydlení?
Chci prohlídku nemovitosti nebo více informací.
Domluvte si prohlídku na nemovitosti anebo se mě na cokoliv zeptejte, rád vám poradím.



































































































































































































